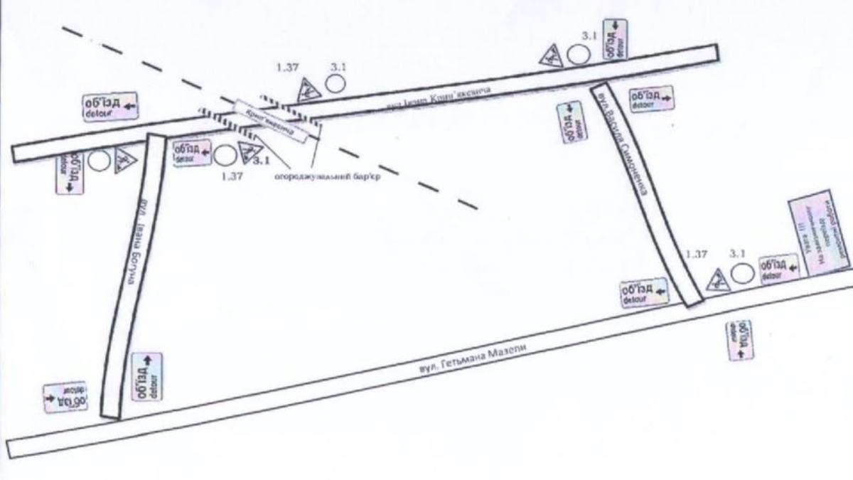
У місті Коломия на вулиці Крип’якевича на залізничному переїзді тимчасово закриють рух для автотранспорту через проведення ремонтних робіт.
Пише Інформатор Івано-Франківськ з посиланням на Коломийську міську раду.
Рух буде недоступний з 08:00 27 квітня 2026 року до 20:00 28 квітня 2026 року.

Водіїв просять завчасно врахувати цю інформацію під час планування маршруту та обирати альтернативні шляхи об’їзду.
«Ремонтні роботи проводять для забезпечення належного технічного стану переїзду та безпеки дорожнього руху», — йдеться у дописі.
Підписуйтесь на нас в Google новинах, щоб не пропустити головне.
Залишайтеся на зв’язку! Ми у Facebook, Instagram, Telegram.
Надсилайте свої новини нам на пошту: informator.ivanofrankivsk@gmail.com
Телефонуйте за номером 096 989 60 87
