На вулиці Січових Стрільців в Івано-Франківську планують змінити схему руху. Яких саме оновлень слід очікувати – читайте далі.
Пише Інформатор Івано-Франківськ з покликанням на допис заступника міського голови Івано-Франківська, директора Департаменту інфраструктури, житлової та комунальної політики Михайла Смушака.
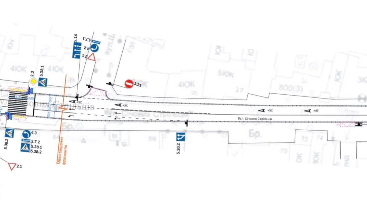
Як зараз там організований рух?
- Від Незалежності до Є. Коновальця – двостороння.
- На іншій ділянці – одностороння.
Разом із фахівцями ТОВ «Урбан прогрес» змоделювали різні варіанти організації руху.
Висновки після моделювання:
- Оптимальне рішення – зробити Січових Стрільців односторонньою на всій протяжності від Незалежності до Г. Мазепи.
- При цьому облаштувати виділену смугу для громадського транспорту та велосипедистів по всій протяжності.
- Це дозволить автобусам рухатися без постійних заторів.
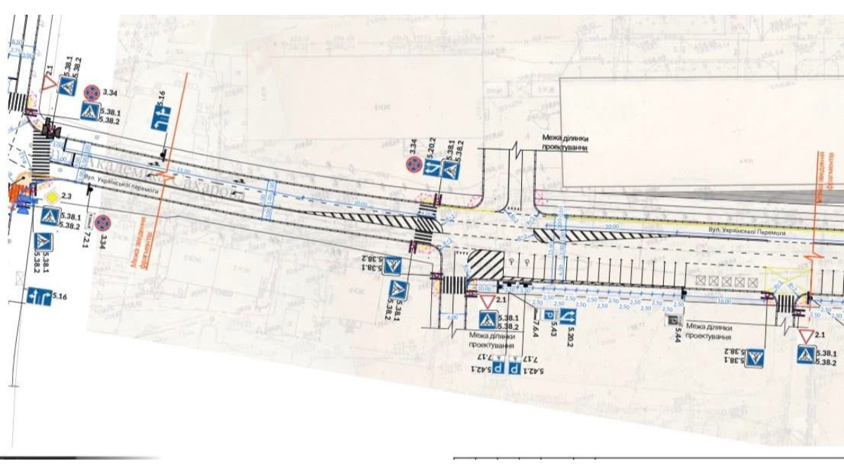
Ситуація з маршрутами автобусів, які зараз повертають з Коновальця на Січових стрільців праворуч?
Їх є десять: 41, 21, 30, 45, 48, а також так-звані «сільські» – 47 (Братківці), 56 (Чукалівка), 57 (Березівка), 58 (Камінне), 59 (Радча).
Для них пропонується змінити маршрут:
Є. Коновальця → Української Перемоги → Мельника → Незалежності → далі по існуючому маршруту.
На вул. Мельника облаштують дві зупинки громадського транспорту:
- біля Пенсійного фонду;
- біля «Квіткового ринку».
Над зміною цієї схеми руху вже працюють і планують реалізувати її паралельно із перенесенням світлофорів на вул. Січових Стрільців.
Примітка: Наведена в дописі схема організації дорожнього руху концептуальна і ще доопрацьовується.
До теми: У Франківську встановили стовпчики-делініатори: де саме?
Підписуйтесь на нас в Google новинах, щоб не пропустити головне.
Залишайтеся на зв’язку! Ми у Facebook, Instagram, Telegram.
Надсилайте свої новини нам на пошту: informator.ivanofrankivsk@gmail.com
Телефонуйте за номером 096 989 60 87






